Szeged mellett Algyőn, 8 hektár ipari terület!

7064 Nyomtatás Ajánlás Facebook

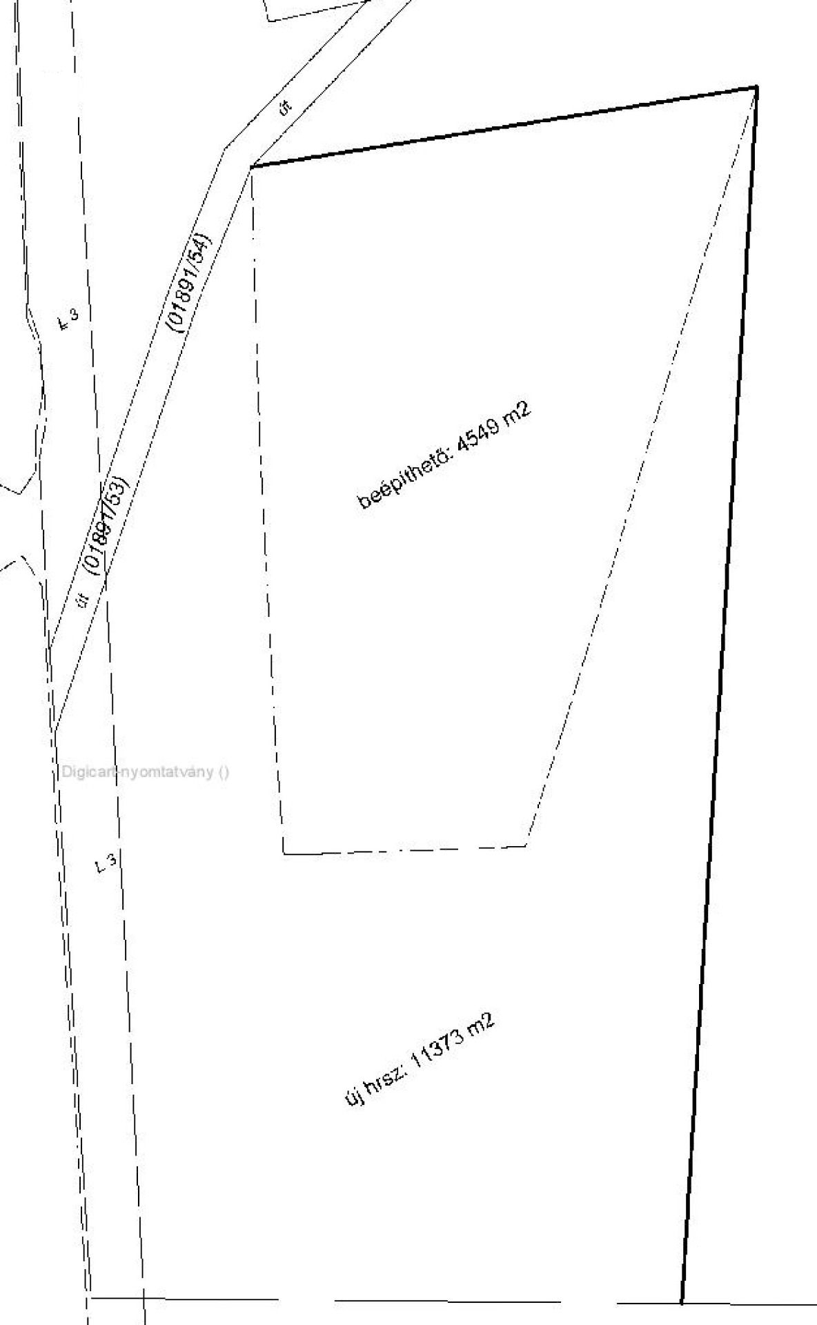
Algyőn, közvetlenül a 47 es főút mellett, közel az autópályához eladó, 40.434 négyzetméteres ipari ingatlan, 40% os beépíthetőséggel. Az ingatlan mellett megvásárolható még 8 hektár legelőként nyilvántartott terület, melynek vételára: 300.000.000,-Ft.
Az ingatlan főbb jellemzői:
- 40.434 m2 terület
- 16.173 m2 beépíthető
- övezeti besorolás: Egyéb Ipari Gazdasági Terület
- szabadon álló beépítési mód
- 9 méter épület magasság
- közművek: csatorna, víz, áram (3 x 500 amperig) gáz a telekhatáron
- önálló helyrajzi szám
- 2 db. saját behajtó

Az ingatlan elhelyezkedése kiváló, Algyő ipari parkja szomszédságában, a 47 es út mellett, közel az M5 ös autópályához, mellette buszmegálló, valamint Szeged 5 perc távolságon belül. Az ingatlan tulajdoni viszonyai rendezettek, szerződés esetén rövid időn belül birtokba vehető.

Bármely kérdés felmerült önben az ingatlannal kapcsolatban, hívjon bizalommal, a 06 30 2490482 tel. számon.
dr. Vass Zoltán

Dr. Vass Zoltán
PRÉMIUM

Dr. Vass Zoltán

10 éve a Városi Ingatlaniroda tagja
Ingatlanértékesítő
Szeged
+36 (30) 249 0482
Észrevétel a hirdetéssel kapcsolatban
Egy ingatlanos naplója